Năm 1929, Kurt Vonnegut, một kiến trúc sư trẻ làm việc cho công ty Vonnegut, Bohn & Mueller nhận được nhiệm vụ đi giám sát hiện trường cho dự án phá bỏ công trình Tổng đài của công ty Bell tại thành phố Indiana, Mỹ.
:quality(75)/cloudfront-us-east-1.images.arcpublishing.com/elcomercio/GIZDCNZNGAYS2MRQKQYDAORSGI.png)
Toà nhà 7 tầng này này vốn được 2 kiến trúc sư người Mỹ gốc Đức là Bernard Vonnegut và Arthur Bohn thiết kế và xây dựng năm 1907 cho công ty điện báo Trung ương. Hai mươi năm sau đó, công ty Bell mua lại công ty điện báo Trung ương. Bell muốn xây dựng một tổng đài mới, để đáp ứng nhu cầu về diện tích làm việc cho nhân viên và hệ thống máy móc tiên tiến cho trung tâm hỗ trợ cuộc gọi của mình. Họ liền quay lại công ty kiến trúc Vonnegut, Bohn & Mueller của Bernard Vonnegut và Arthur Bohn để đặt hàng cho một công trình mới. Mọi việc nhanh chóng diễn ra như mọi dự án khác. Do hạn chế về khu đất xây dựng, công ty điện báo Bell đã quyết định phá bỏ công trình cũ trên lô đất, để giải phóng mặt bằng cho toà nhà mới. Và Kurt Vonnegut, con trai của Bernard Vonnegut, được cử đến giám sát việc phá huỷ công trình.

Khi đến nơi, mọi việc đã sẵn sàng, thuốc nổ đã được tập kết xung quanh công trình, các đầu mối hạ tầng đã được khoá, chuẩn bị ngắt theo hiệu lệnh từ Kurt. Tuy nhiên, Kurt Vonnegut xem xét kỹ bản vẽ và nhận thấy: Khu đất xây dựng, thật ra, hoàn toàn có thể đáp ứng được việc xây dựng công trình mới. Chỉ cần, toà nhà cũ có vị trí khác đi. Từ đó, Kurt nảy ra một ý tưởng điên rồ: Thay vì phá huỷ toà nhà cũ, người ta có thể xoay nó đi 90 độ, rồi dịch chuyển đến vị trí mới. Phần còn lại của thửa đất sẽ vừa vặn với thiết kế mới cho công trình của Bell.

Kurt nhanh chóng yêu cầu dừng việc phá hủy công trình và thuyết phục công ty Bell và chính cha mình để thực hiện phương án mới. Khỏi phải nói, tất cả đều nghi ngờ và phản đối vì tính chất điên rồ của nó. Không nản lòng, Kurt kiên quyết trình bày các giải pháp tính toán để chứng minh tính khả thi trong phương án của mình. Cuối cùng, mọi người cũng bị Kurt thuyết phục. Và hãng kết cấu Bevington, Taggert & Fowler và nhà thầu John Eichlea Co., cùng với Kurt Vonnegut được giao nhiệm vụ thực hiện kì công kỹ thuật này.

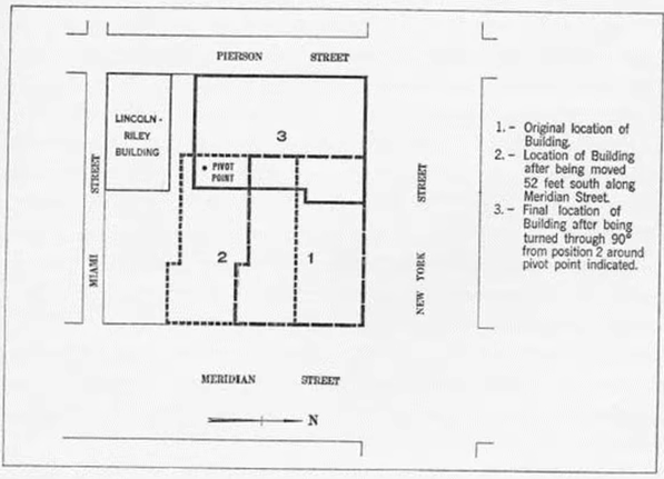
Theo đó, toà nhà 7 tầng, với trọng lượng 11.000 tấn sẽ được nâng lên bằng kích thuỷ lực. Sau đó, toà nhà được xoay và dịch chuyển trên một hệ thống đường ray với con lăn đặc biệt được làm từ 75 tấn dầm gỗ đặt trên nền bê tông thi công. Lực đẩy của các con lăn được cung cấp từ các đầu máy hơi nước và chuyển động của chúng được định hướng bằng tay cho quãng đường. Bằng phương pháp kể trên, toà nhà di chuyển trung bình được 40cm mỗi giờ. Tổng cộng, toà nhà di chuyển 16m về phía Nam, xoay 90 độ, sau đó lại di chuyển tiếp 30m về phía Tây. Quá trình thực hiện này được các kỹ sư kết cấu theo dõi tỉ mỉ từng chuyển động để đảm bảo kết cấu của công trình không bị tác động. Bắt đầu từ ngày 24 tháng 10 năm 1929, sau 90 ngày di chuyển và xoay, toà nhà đã được dời đến vị trí mới. Vào thời điểm những năm 1920, đây thực sự là một kỳ quan kỹ thuật. Dự án này thu hút sự chú ý của công chúng vì tính chất đặc biệt của nó.

Tuy nhiên, hơn tất cả, sự điên rồ và tự tin của Kurt không chỉ nằm ở giải pháp thực hiện. Ông cực kỳ tự tin vào các tính toán của mình đến mức ông khẳng định với công ty Bell rằng: Trong thời gian di chuyển, mọi hoạt động bên trong công trình sẽ vẫn được duy trì như thường lệ. Mọi hoạt động kết nối của Bell, công việc và hoạt của 600 con người trong toà nhà, khách khứa sẽ vẫn được duy trì như bình thường. Quả thật, trong suốt 90 ngày thực hiện dự án, 600 nhân viên của Bell vẫn thực hiện công việc của mình trong toà nhà như bình thường. Họ cho biết không hề cảm nhận thấy có sự khác biệt, chấn động hay bất kì điều gì ảnh hưởng đến công việc thường ngày của họ. Toàn bộ các hệ thống hạ tầng như điện, nước, gaz, nước thải…vẫn được kết nối và hoạt động như bình thường. Việc ra vào công trình trong giai đoạn này được thực hiện qua một hành lang đặc biệt, bám lấy quỹ đạo dịch chuyển của công trình.

Sau khi thực hiện việc di dời, một toà nhà mới được mọc lên như thiết kế và có tác động to lớn đến cảnh quan của khu vực xung quanh.

Đến năm 1965, một lần nữa, công ty Bell muốn tiếp tục mở rộng hoạt động của mình. Lần này không còn chỗ để xây dựng, người ta buộc phải phá huỷ toà nhà cũ, nhường chỗ cho một công trình hiện đại hơn.
:quality(75)/cloudfront-us-east-1.images.arcpublishing.com/elcomercio/GI2DCNZNGAYS2MRQKQYDAORSGQ.jpg)
Bộ môn Lý thuyết và lịch sử kiến trúc